County on board with state-funded jail expansion
The San Benito County Jail is getting a cellmate. County supervisors Tuesday unanimously approved a $700,00 match – and confirmed an expectation for $35 million in additional operational costs over three decades – to open the door for $15 million in state funding for a jail expansion.
San Juan reinstates ban against franchise businesses
San Juan Bautista council members Tuesday reinstated an ordinance banning formula, or franchise, businesses.
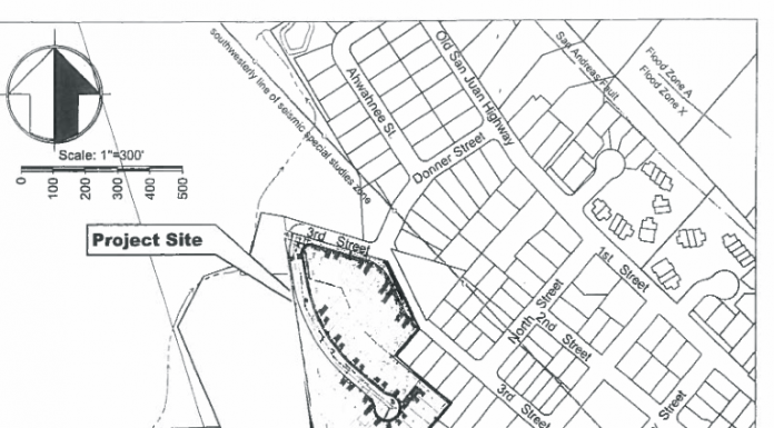
San Juan officials want roundabout with 27-lot development
San Juan council members Tuesday approved a 27-lot planned unit development along with a requirement for a roundabout in the subdivision.
Glines running unopposed for Gavilan board
Gavilan College Board Trustee Walter R. “Walt” Glines is running unopposed representing the Gilroy area for the November 2014 election.
San Juan sets up reverse osmosis station for public
With San Juan Bautista's water woes continuing on through the summer, the city is offering residents water from a reverse osmosis station recently hooked up for the public.
San Juan joins Hollister, county with BLM critique on Clear Creek
San Juan Bautista council members didn't have to go looking for personal testimonials about the closed-off Clear Creek Management Area and potential impacts from asbestos.
City, county OK expansion to skate park
With separate approvals from the Hollister council and county board this week, an expansion is moving ahead for the skate park facility at Veterans Memorial Park.
Gavilan College needs volunteers for bond oversight panel
Gavilan College has three openings on its volunteer Citizen's Oversight Committee, which looks to see if Measure E bond revenues are being spent as specified in the original ballot language.
Updated: County agriculture values grew by 11 percent in 2013
Boosted by big increases in vegetable production, San Benito County’s agriculture industry earned record revenues in 2013 and eclipsed $300 million in value for the first time.
Mayor: Panel to recommend Flynn Road site for Fire Station No. 3
A panel of leaders from area governments is recommending that the fire department should locate Fire Station No. 3 on Flynn Road near the county jail, the mayor confirmed Monday.

















